2018 Chevrolet Traverse LS FWD
Visit our Store
- Dan Cummins Chevrolet Buick Georgetown
-
1470 Cherry Blossom Way
Georgetown, KY 40324
- Sales: 502-542-6488
- Service: 502-542-6561
- Parts: 502-603-6137
Vehicle Information
VIN:
1GNERFKWXJJ231961
Stock #:
100501B
Model Code:
1NB56
-
Condition Used
-
Body Style SUV -
Exterior Color Silver Ice Metallic
-
Interior Color Jet Black, Premium Cloth Seat Trim
-
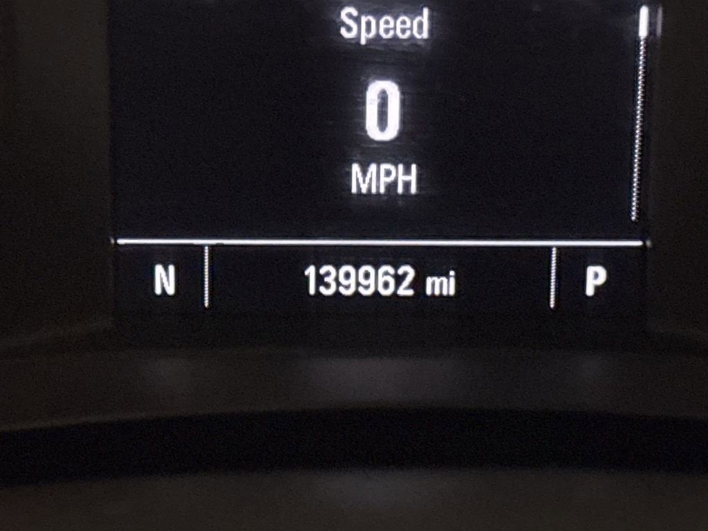
Mileage 139,962
-
City/Highway 18/27 MPG -
Engine Engine, 3.6L 6 Cylinder -
Transmission Automatic -
Fuel Type Gasoline
Highlighted Features
Feature availability subject to final vehicle configuration. Please reference window sticker for more info.
- Bluetooth®
- Android Auto
- Apple CarPlay
Dealer Comments
This 2018 Chevrolet Traverse LS is being offered to you as an alternative to us taking to the auction. It's being offered COMPLETELY AS IS in the condition it was traded. It comes with no guarantees. Below are some details on this vehicle and additional info from our appraisal team. This vehicle has passed a Safety Inspection by our ASE Certified Technicians. Items repaired during the Safety Inspection are as follows: replaced front brakes.
FWD 3.6L V6 SIDI VVT 9-Speed Automatic 4D Sport Utility Silver Ice Metallic 18/27 City/Highway MPG
6 Speakers, AM/FM radio, Exterior Parking Camera Rear, Front dual zone A/C, Power windows, Speed control, Steering wheel mounted audio controls.
Here are the following things noticed on the appraisal:
*Carfax reported moderate damage
*runs drives and shifts okay
*brakes are okay
*front tires need replaced, rear tires okay
*check engine light is on with codes:P0443, P0300, P015C, P0157, C0765-29, C0765-03, B3112
AS-TRADED $8301 + TAXES & FEES!!!
FWD 3.6L V6 SIDI VVT 9-Speed Automatic 4D Sport Utility Silver Ice Metallic 18/27 City/Highway MPG
6 Speakers, AM/FM radio, Exterior Parking Camera Rear, Front dual zone A/C, Power windows, Speed control, Steering wheel mounted audio controls.
Here are the following things noticed on the appraisal:
*Carfax reported moderate damage
*runs drives and shifts okay
*brakes are okay
*front tires need replaced, rear tires okay
*check engine light is on with codes:P0443, P0300, P015C, P0157, C0765-29, C0765-03, B3112
AS-TRADED $8301 + TAXES & FEES!!!
Vehicles You Might Like
-
Call for Price Dan Cummins Deal!
-
Call for Price Dan Cummins Deal!
-
Call for Price Dan Cummins Deal!
-
Call for Price Dan Cummins Deal!
-
Call for Price Dan Cummins Deal!
-
Call for Price Dan Cummins Deal!
-
Call for Price Dan Cummins Deal!
-
Call for Price Dan Cummins Deal!
Used vehicle pricing excludes tax, title and registration which must be paid by the purchaser. While great effort is made to ensure the accuracy of the information on this site, errors do occur so please verify information with the dealer.
Used vehicle pricing excludes tax, title and registration which must be paid by the purchaser. While great effort is made to ensure the accuracy of the information on this site, errors do occur so please verify information with the dealer.
The Manufacturer's Suggested Retail Price excludes tax, title, license, dealer fees and optional equipment. Dealer sets final price.